你昨天登录微信是不是也有大发现?

对,一张图片变成了一个小动画!动画里,那个孤独的小人还在,仰望的还是地球,但云图不一样了,地球的地理位置也不一样了。
据了解,从昨天下午5点起的三天,微信的启动画面不再是美国宇航员45年前拍摄的地球,而是由我国全自主研制的“风云四号”卫星近期在中国上空拍摄的地球全图。

不难发现,地球照片变得更清晰、云层更细致了,画面的中心也由非洲大陆上空视角,变化为华夏大地的上空。这是6年来微信启动页面首次发生变化。
据中国气象局消息,这是我国新一代静止轨道气象卫星“风云四号”从太空拍摄的祖国全景。
为什么要在昨天换上?
微信团队介绍,为了庆祝“风云四号”取得的巨大突破,微信启动页首次“变脸”。
9月25日,我国新一代静止轨道气象卫星“风云四号”A星正式交付用户使用。

原背景:寓意“文明起源”
关于之前的背景图片,大家先来做道地理题:
微信开机封面是几月份拍摄的?

别惊讶,这是去年江苏小高考的原题!

答案如下↓↓

事实上,据微信团队介绍,微信启动页中选用的照片素材是NASA在全世界范围公开的第一张完整的地球照片——“蓝色弹珠”。

蓝色弹珠的官方编号是 AS17-148-22727,需要澄清的是,它并不是第一张从太空中看地球的照片,也不是第一张看到整个地球被照亮的照片,但它是最后一批由人亲自拍摄的全景地球照片。
这也是阿波罗17号最后一次登月任务。此后,再也没有人去过足够遥远、能一窥地球全貌的地方。
同时,“蓝色弹珠”也可能是人类历史上传播最广的照片之一,也可能是那个时代最好看的地球照片。
照片的可见范围从北边的地中海,一直到南极洲的冰盖,是宇航员第一次在太空拍摄到的南极冰盖,而画面的主体是非洲大陆。

微信团队介绍之所以选用这张图片,是因为“希望将‘起源’之意赋予启动页面。因为人类的出现,才有了沟通的存在和意义。”

而此次展示“风云四号”拍摄画面,微信团队表示,是寓意从“人类起源”到“华夏文明”的历史发展,旨在向亿万微信用户展示我国大好河山风貌。

风云四号:最先进气象卫星之一

风云四号A星小档案
体重:5400公斤,风云系列最重
生日:2016年12月11日西昌卫星发射中心
工作:新一代静止气象卫星科研试验星
性能:气象卫星
寿命:设计寿命7年
风云四号有什么用?风云四号气象卫星正式“服役”后,将大幅度提高我国天气预报、气象防灾减灾、应对气候变化、生态环境监测和空间天气监测预警能力,并广泛应用于气象、水利、农业、林业、环境、能源、航空和海洋等领域,特别是在服务我国军民融合战略实施、“一带一路”建设等方面发挥重要作用。
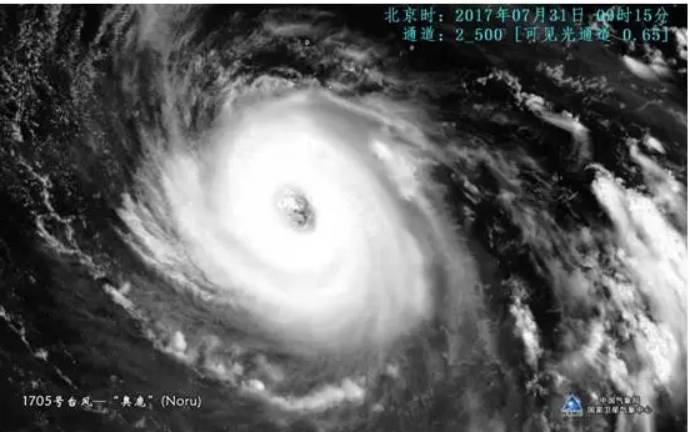
观察台风
风云四号是静止气象卫星,在监测台风时分辨率可以达到500米,台风的云结构和动向都能观察得清清楚楚。特别是台风眼,风云四号超越了以前的风云二号,能把台风眼也拍得一清二楚。等到正式上岗后,在监测靠近我国的台风上,风云四号有望超越日本的“葵花8号”。

闪电猎手
强对流天气算是天气预报难啃的一块硬骨头。风云四号上搭载的闪电成像仪,让其实现了对雨中闪电的实时监测,1秒钟可以抓拍500张闪电图,属国内首创。

三轴稳定拍摄
三轴稳定技术这项关键技术,目前只在少数气象卫星实现,在我国的静止气象卫星上还是首次使用。
圆盘成像时间减半
风云四号虽然重5400公斤,在风云系列中最重,但动作却很轻盈,风云二号需要30分钟才能完成一张地球圆盘图,但风云四号地球全圆盘成像时间从30分钟提高到15分钟,未来还可继续提高到5分钟以内……而对中国区域的扫描,只需要5分钟。


风云四号拍摄的“地球24小时”画面
总而言之,风云四号不仅提高了天气预报的准确率和精细度,对气候预测和气候资源利用、灾害和环境监测、人工影响天气和大气科学前沿性探索,也是帮助多多。

风四云图第一次在新闻联播天气预报中使用
我国风云系列气象卫星现已形成与美国、欧洲气象卫星三足鼎立的局面,目前东半球的气象预报主要靠我国的气象卫星提供相关资料。
此外,我国风云系列卫星还被世界气象组织(WMO)列入国际气象业务卫星序列,为全球70多个国家和地区、国内2500家用户提供风云卫星资料。
据国防科工局副局长吴艳华介绍,到2025年,我国还将发射11颗风云气象卫星。
越来越多的“风云”卫士将加入观测风雨温湿,预警冰雪雷电的队伍中,守望人间“冷暖”。
“风云四号”为什么这么厉害?一组数字带你了解它的过人之处。
世界上第一个装载静止轨道高光谱红外探测仪的气象卫星;
世界上装载仪器最多的气象卫星。
填补三项国际空白实现了全球首次静止轨道干涉式高光谱大气探测;
全球首次辐射计、探测仪、闪电仪共平台装载,全天时工作;
全球首次静止轨道微波探测技术验证,首次425GHz频段探测。
四个探测仪卫星搭载了多通道扫描成像辐射计、干涉式大气垂直探测仪、闪电成像仪和空间天气监测仪4台遥感仪器。
五个“高”高时间分辨率、高空间分辨率、高定位精度、高辐射精度、高光谱精度,可实时补偿姿态、轨道、热变形误差,实时对星上数据进行处理。
七项国内首次取得了国内首次星上实时补偿导航配准、首次高灵敏仪器多重微振动抑制和测量、首次高精度光谱定标与全谱段在轨辐射定标等7项首次。
手绘动画告诉你中国风云四号卫星到底多厉害:
一颗星,十五年
风云四号所实现的这些突破,其实是科研人员15年的坚持与付出。
1997年风云二号卫星刚上天,下一代风云卫星就已开始规划。风云四号2001年开始预研,整个研制花了15年的时间,过程非常艰辛。中科院院士匡定波提出,应该发展干涉式大气垂直探测仪。这种利用傅立叶变换原理的探测仪,可以为大气做“超级CT”——把大气从地面开始“切片”,将100公里大气切成上千层,测出每一层的温度、湿度等数值,为灾害性天气监视和大气化学成分探测服务。
这是遥感领域红外光谱技术的一场革命。早先,美国、欧洲都在朝这个方向努力,但到2006年,由于技术难度过大、所需经费太多,美国放弃了,欧洲也大幅调整了计划。但中国科学家们没有放弃。2016年年底,卫星终于发射升空。

中国科学院上海技术物理研究所风四载荷团队
如今,当中国的探测仪开始提供全球独家的数据时,美国的研发队伍尚未重新聚集,欧洲的仪器还要等到2022年才能发射升空。
“当别人放弃时,我们坚持;做成功了,就领先世界。”科学家华建文说,过去中国向国外卫星要数据,现在是国际气象界迫切需要中国的卫星数据了。
微信登录界面换成了国产画面,网友们的自豪感也是油然而生!
@有你便是未来:厉害了,我的国。换的不只是一张图,还意味着我们国家的卫星导航等技术的崛起和强大,说明未来我们导航将彻底拜托美国导航的束缚,安全问题得到巨大的提升和巩固。
@执笔为你写离歌:厉害了,无论从哪个角度看,我国的大地山河就是美丽的,我祖国的山川河流就是就是独特的美,一草一木永远在我心中,那样美好,又那样感激,感激也庆幸我生活在这个强大的祖国里,生活在这个美丽的国家。
但也有人表示,为什么就这四天,一直用不好么?
@你很特别666:为什么就这四天,一直用不好吗 还有我记得非洲上空那张是美国人拍的,而且不是卫星拍的,是宇航员坐在飞船里亲手拍的,得有半个世纪了吧。。。。自己国家的卫星拍出来了还用美国的?
网友中的学霸也出手猜题了,同学们,不要告诉我没有提醒你的高考题目哦!(摊手状)
@东邪之黄:明年高考的同学,请注意了,这是地理考题的重点,来一起跟我回顾风云4拍的地球,北纬23度多少点天黑,此时印度洋洋流情况等等
@朱晓-古莉:那么问题来了,要高考的同学快点查查这是风云四号什么时候拍的图,日期,时间,坐标,当时的太阳直射点,世界主要地方的气候,大气循环,洋流方向啥的都记记,高考地理没准用的上,这是重点!!!
还有很多人为这个微信的小人操碎了心。
@趙曉雅呀:张小龙孤独的遥望了六年非洲大陆 难道他不想家吗?不!只是机票太贵了他没钱 如今他终于赶在祖国的中秋节之前凑够了机票钱 给自己放三天假站在太空遥望一下祖国大地缓解一下思乡之情
@叮當了個和諧:给个更好的建议,剪影里不要只放一个人,多放一个人手牵手,寓意社交软件并不是让我们孤独地仰望偌大的世界,而是瀚海星空里我还有你。
还有网友@POCKN已经制作了其他太阳系行星图,也包括曾经被认为第九大行星的冥王星。








编辑:赵晨雁、周婵
实习编辑:侯俊杰
来源:果壳网、微信派、中国气象局、央视新闻、新华视点、人民日报、中科院之声
推荐阅读
苹果和微信谁动了谁的蛋糕?苹果回应微信关闭赞赏通知:所有开发者规则一致
调查显示:中国人每天打开微信14.5次 社交媒体TFBOYS提及最多




